ALTA / NSPS Land Title Survey CAD Drafting – (USA)
Commercial ALTA survey CAD drafting prepared from field data for a U.S.-based development.
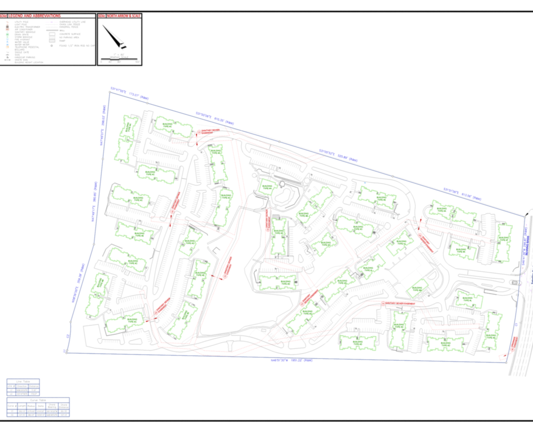
Project Overview:
This project involved preparing a complete ALTA / NSPS land title survey CAD drawing for a large commercial property in the United States. Field survey data and reference documents were converted into a clean, survey-ready CAD deliverable suitable for professional review and certification.
Scope of Work:
• ALTA / NSPS compliant boundary drafting
• Bearings and distances annotation
• Building footprints and internal circulation
• Parking, access drives, and site features
• Easements, rights-of-way, and site control
• Clean layers, labels, and title information
Tools Used:
AutoCAD, Civil 3D
Key Challenges & Solutions:
The site included complex internal circulation, multiple building footprints, and irregular boundary geometry. Our team coordinated boundary linework, internal features, and annotation clarity to maintain accuracy, readability, and ALTA compliance.
Final Deliverables:
• Survey-ready DWG
• Clean, organized layers
• Clearly labeled boundary and site features
• Ready for surveyor review and sealing

